
Дорожная арифметика пускает в оборот все новые номерные магистрали в Петербурге с заглавной буквой «М» в названии. Большая часть пока только проектируется. А опыт показывает, что это не залог строительства.
О том, что для первого участка магистрали М-15 готовят проект, стало известно накануне. Дирекция транспортного строительства объявила конкурс на 96 млн рублей, у подрядчика будет год.
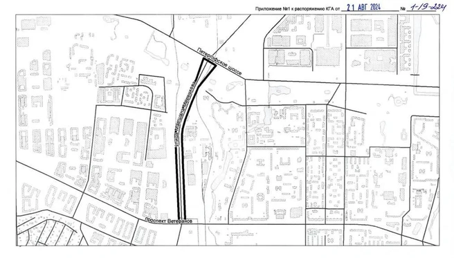
Что это за дорога?
Этого должно хватить: в конце концов, речь идет о — теоретически — самом несложном этапе магистрали, которая в своем нынешнем статусе известна как улица Маршала Мерецкова. Он первый, если считать с севера, и пройдет от улицы Адмирала Черокова до Петергофского шоссе.

Это будет шестиполосная дорога протяженностью 2,3 км. Судя по границам проектирования, она идет прямо в створе улицы Маршала Мерецкова — от продолжения проспекта Героев, который пробьют западнее улицы Адмирала Черокова, до Петергофского шоссе. Соответственно, потребуется строить правильные примыкания на всех пересечениях. В задании на проектирование говорится именно про саму дорогу и ни слова про разноуровневые развязки. Но в Генплане она есть — на пересечении Маршала Мерецкова и Петергофского шоссе.
О необходимости строительства М-15 говорят много лет — и, конечно, не только первого участка. Она переходила из одного планового документа в другой, причем иногда фигурировало и ее продолжение за проспект Героев — до улицы Доблести и даже до проспекта Маршала Жукова. Но в итоге в генплане сейчас закреплена магистраль от проспекта Героев на юг: сначала до Петергофского шоссе, потом до Ветеранов и затем — до Волхонского шоссе.

Что дальше
Для следующего полуторакилометрового этапа магистрали — от Петергофского шоссе до проспекта Ветеранов — пока только разрабатывают проект планировки. Именно этот участок в прошлые годы неизменно попадал в ответы чиновников, когда их спрашивали — а где, собственно, обещанная М-15. Дело в том, что слева и справа магистраль обложили территории объектов культурного наследия — усадьбы «Елизино» и Дачи Миниха. Кроме того, сам парк Новознаменка относится к рекреационной зоне дворцово-парковых комплексов и исторических парков.



Из Генплана понятно, как в итоге собираются выходить из этой ситуации: строить тоннель. Ни протяженность, ни другие характеристики его не известны. Однако если в распоряжении КГА по разработке ППТ для этого участка, которое выпустили год назад, тоннель значился, то в том, которое было опубликовано накануне, уже нет.

С учетом развязки и тоннеля на Петергофском шоссе, у М-15 будет 4 искусственных сооружения на пути к Кольцевой. На проспекте Ветеранов запланирована развязка в разных уровнях. И еще одна — южнее, когда магистраль дойдет до железнодорожных путей.

Год назад этот путепровод через рельсы попал в пятерку приоритетных, которые назвал Смольный. Однако насколько этот статус может приблизить стройку — вопрос. Например, фаворит Смольного в списке — это Фрунзенский путепровод на съезде с Большого Смоленского моста. Строить его собираются по ГЧП с установлением частично платного проезда. Но несмотря на то, что о нем говорят на совещаниях федерального уровня, полноценного соглашения — а не о намерениях на ПМЭФ — так до сих пор и нет. Как нет и понимания по срокам, кроме неутешительного 2036 года.

Сама М-15 в генплане стоит в периоде до 2040 года. Вся — от проспекта Героев до КАД, со всеми путепроводами и тоннелями. В группах местных жителей в соцсетях, где еще несколько лет назад новости о планировании обсуждали с энтузиазмом, сейчас в основном сарказм и пожелание дожить хотя бы детям.
Между тем М-15 не единственная номерная магистраль, которая получила какой-то толчок в последнее время. Правда, остальные — на другом краю города. Явственнее всех движется М-32 — там строят большую развязку на Приморском шоссе. Накануне начали поиск проектировщика для М-49 с подключением к ЗСД. Запланированная в том же Приморском районе М-1 (дублер Приморского шоссе) обрела место в государственной программе с примерным финансированием, как и другие проекты по транспортному обеспечению кластера в Горской, для нее готовят проект планировки.
19 ноября Смольный сообщил, что на 60% построен первый этап Южной широтной магистрали. Подробнее об этом проекте — читайте на «Фонтанке».
Больше новостей — в нашем официальном телеграм-канале «Фонтанка SPB online». Подписывайтесь, чтобы первыми узнавать о важном.

















Достижения
Свой среди своих
Зарегистрироваться на сайте
Твой первый
Написать первый комментарий
Первая десятка
Написать 10 комментариев