Комитет по строительству подвел итоги трех конкурсов на изменения в проект планировки для трех новых станций метро. Все — на четвертой линии.
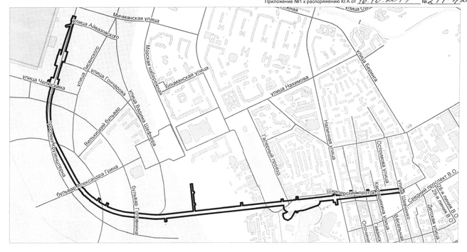
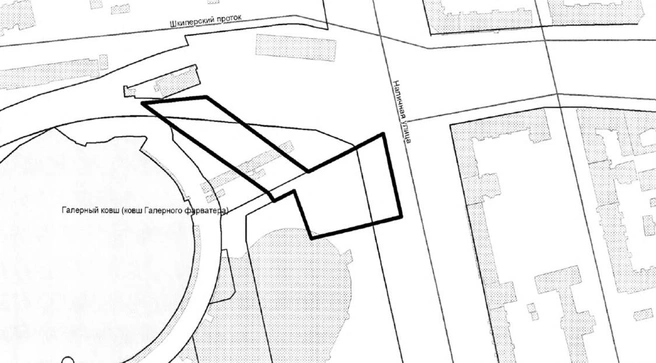
Протоколы опубликованы в последние два дня. Один из них касается проекта планировки для участка Лахтинско-Правобережной линии от станции «Горный институт» до станции «Морской фасад», стоимость контракта — 19,4 млн рублей. Второй относится к промежуточной станции на этом участке — «Гавань», стоимость — 9,4 млн рублей. Оба закончить надо до 11 ноября 2026 года.

Морской фасад

Гавань
«Фонтанка» подробно рассказывала о проекте продления оранжевой линии метро за станцию «Горный институт» через «Гавань» до «Морского фасада». Этот участок фигурировал в заявлениях Смольного о станциях, которые предполагается ввести до 2030 года. В генплане они тоже указаны на этот период, однако позже вице-губернатор Николай Линченко заявлял, что это скорее «2030-й плюс, в разбеге 2030–2032 годы».
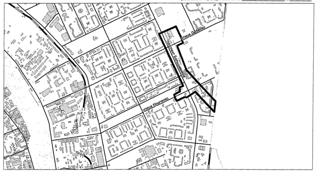
Третий конкурс, по которому комстрой подвел итоги, — это изменения в ППТ для продления оранжевой линии на юг — к станции «Кудрово». Стоимость работ — 12,7 млн рублей, срок — также до 11 ноября 2026 года. Так как работы заказывает петербургский комитет, то и речь идет только о городской части трассировки линии метро — от станции «Улица Дыбенко» до границы с Ленобластью.

Кудрово
Станция «Кудрово» — одна из самых долгожданных в Петербурге, за много лет обещанные сроки строительства неоднократно сдвигались. Недавно стало известно, что правительство Ленобласти, где и появится станция, намерено начать изъятие земель под нее осенью, и уже строит наземную инфраструктуру для будущего транспортного-пересадочного узла, который здесь планируется. В схеме развития метро, которой оперируют в Смольном, продление оранжевой линии до «Кудрово» запланировано на ближайшие 5 лет. Однако Петербург ждет решения от федерального центра о том, будет ли он софинансировать строительство метро к «Кудрово» и к «Пулково» на огромную сумму — 500 млрд рублей. До тех пор говорить о стройке рано. Подробнее — читайте здесь.
На все три конкурса было подано лишь по одной заявке. Протоколы обезличены, но в карточках закупок видно, что заявка была признана соответствующей требованиям, а значит, с ее подателем заключат контракты.














