Компания «Василеостровская фабрика», у которой в собственности бывшие промышленные участки на берегу Смоленки, подала свои предложения к проекту правил землепользования и застройки. Она рассчитывает, что для ее территории и соседней сохранят общие правила для совместного проекта.
Письмо компании, которая принадлежит девелоперу Игорю Водопьянову, опубликовано на странице общественных обсуждений проекта ПЗЗ. У «Василеостровской фабрики» в собственности два участка на Смоленке ближе к Сазоновской улице. Предприятие планировало совместное освоение смежных территорий квартала между Сазоновской и ЖК «Самоцветы» вместе с владельцами соседнего участка («Фонтанка» рассказывала о том, что хотят построить на месте фабрики «Рот-фронт»).





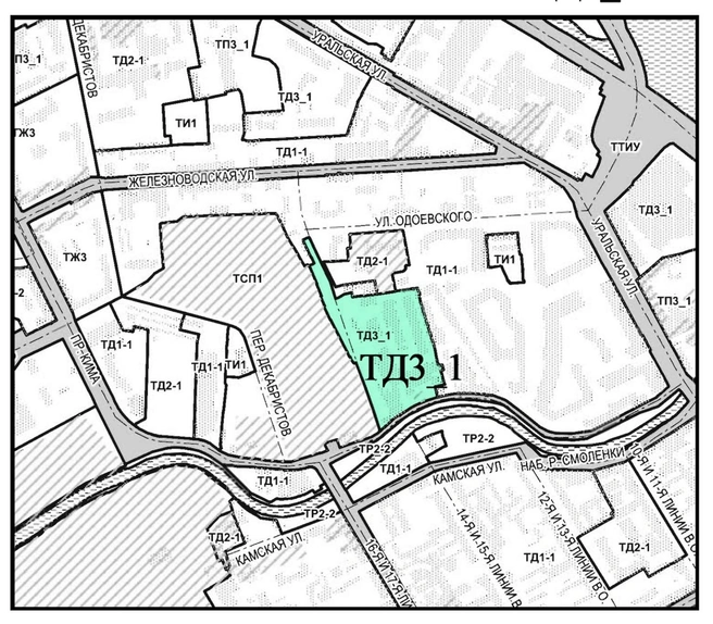
Однако, пишет компания, в проекте ПЗЗ для территории «Василеостровской фабрики» указана категория ТД3_1 (общественно-деловая застройка), тогда как для всего остального квартала оставлена ТД1_1 (общественно-деловая и жилая).
«Для соседних участков, в настоящий момент расположенных в одной территориальной зоне, в проекте ПЗЗ предлагаются разные решения. Так как [это] решение ограничивает возможности развития территории ООО „Василеостровская фабрика“, просим в проекте изменений в Правила землепользования и застройки Санкт-Петербурга сохранить для неё действующую территориальную зону ТД1_1», — говорится в письме.
«Фонтанка» рассказывала об общественных обсуждения проекта ПЗЗ, который определит характер застройки на каждом конкретном участке. Подробнее об этом и о том, как подать свои предложения — читайте здесь.












