
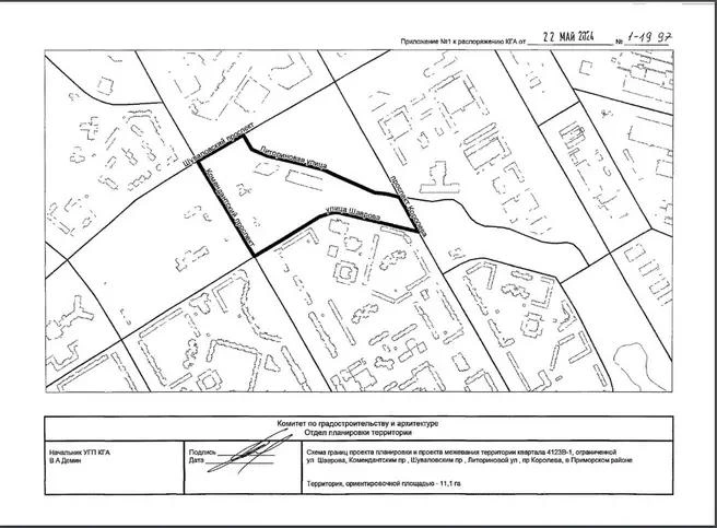
В Петербурге на антикоррупционную экспертизу представлен проект планировки территории в Приморском районе, на которой построят вторую сцену Театра Музыкальной комедии. Проект ППТ опубликован 23 октября на сайте Смольного.
В границы ППТ попадает квартал между Шуваловским проспектом, Литориновой улицей, проспектом Королева, улицей Шаврова и Комендантским проспектом.
Высота будущей второй сцены театра не превысит 40 метров, общая площадь застройки — 25 тысяч кв. метров.
В документации обозначены сроки: планируемого проектирования — 2030 год, строительства — 2032 год.
Больше новостей — в нашем официальном телеграм-канале «Фонтанка SPB online». А еще мы создали канал в MAX, чтобы размещать там только эксклюзивный и действительно важный контент. Подписывайтесь — будем держаться вместе!













